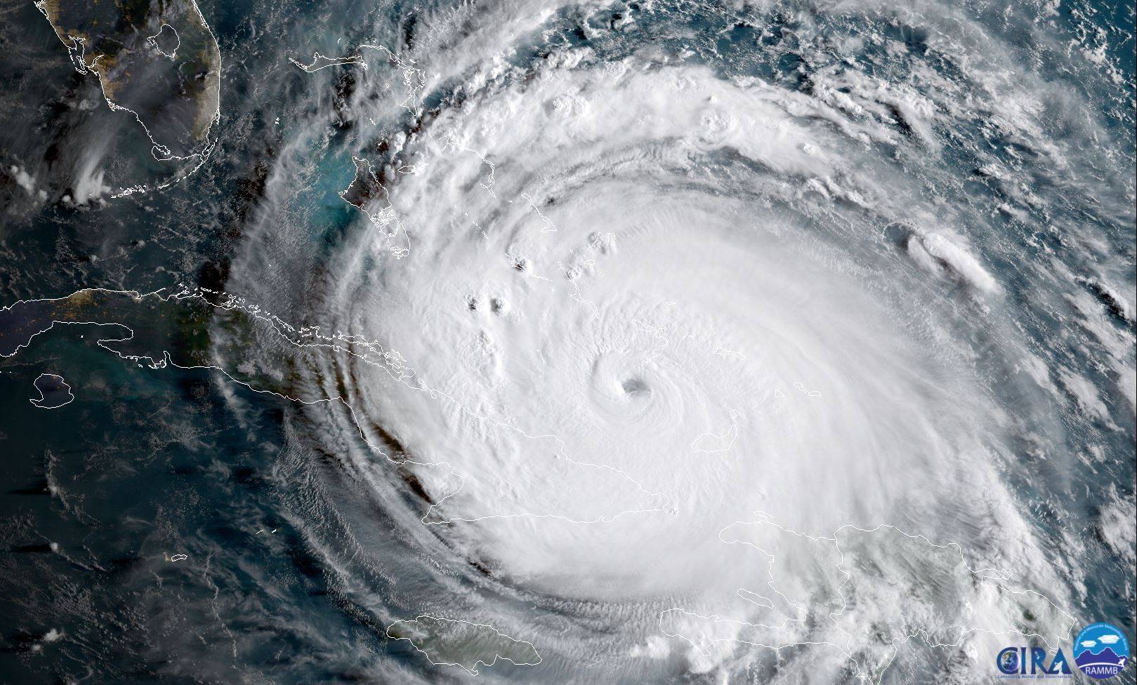
Tens of thousands of people have lost their homes, their jobs, their businesses, and farmers have lost their crops in devastation caused by Hurricane Milton and Hurricane Helene.

Choose one of these charities to support with a donation to help victims in Florida and the Carolinas with life-saving food, water, clothing and medical services, and start the rebuilding, including roads and power lines.
Each one of these charities has a four-star rating for financial performance and effectiveness from Charity Navigator, my go-to charity rating service, and each one lets you donate online in any amount you choose.
Every organization uses donations differently, so read their mission statement or visit their website to understand how your gifts to them will be used.
Maui Relief Efforts
Many of these charities also are assisting with relief for the victims of the recent wildfires on Maui and Hurricane Idalia in 2023.
Local charities in Hawaii are still accepting donations.
Top-Rated National Charities for Donations
World Central Kitchen is on the ground within days of a disaster anywhere in the world, serving 10,000 meals a day or more to both victims and first responders.
- Celebrity chef Jose Andres founded World Central Kitchen in 2010 0 after the earthquake in Haiti, and has provided assistance around the world in response to emergencies – including currently in Ukraine, and the recent earthquakes in Syria and Turkey.
Feeding America is a US-based nonprofit network of more than 200 food banks that feed more than 46 million people through food pantries, soup kitchens, shelters, and other community-based agencies.
Americares Hurricane Relief Fund is accepting online donations dedicated to hurricane victims.
- Americares is a non-profit disaster relief and global health organization providing immediate response to emergency medical needs and supporting long-term health care initiatives for people in the USA and around the world. Every $1 donated provides $20 in relief.
Save the Children helps vulnerable children stay safe and providing relief to families who need it most.
Direct Relief provides life-saving emergency medical assistance.
American Red Cross is accepting donations online and via text o send supplies, open shelters and recruit volunteers.
Habitat for Humanity Hurricane Recovery Volunteer Registry is rebuilding homes that were destroyed. Donate, or volunteer.
Project HOPE is accepting money to fund teams on the ground to provide medical assistance.
Clean the World is providing vital personal hygiene kits, including soap and sanitizer products.
Direct Relief currently has a fund to provide Puerto Rico with mobile health facilities, emergency medicine, backup power, and more.
The Salvation Army is accepting donations via phone (call 1-800-SAL-ARMY), text (text “STORM” to 51555) and online.
Global Giving is sending food, medicine and water to those affected by the disaster both in the Caribbean and the U.S.
The American Society for the Prevention of Cruelty to Animals and the Best Friends Animal Society accept donations to care for pets abandoned or injured during the evacuation and storm.

Top-Rated Local Charities
Mountain Ways is a non-profit supporting those in Tennessee who have lost everything, or almost everything.
- Join superstar Dolly Parton, a Tennessee native, who has donated $2 Million to Mountain Ways
Local charities in Hawaii are still accepting donations.
The North Carolina Foundation for Public School Children is accepting donations for school supplies for children whose families have lost everything.
Ready to Volunteer?
If you want to volunteer to help, these groups accept volunteers to help pack supplies for shipping –
American Red Cross: https://www.redcross.org/volunteer/become-a-volunteer.html
Team Rubicon: https://teamrubiconusa.org/volunteer/
ToolBank USA: https://toolbank.org/get-engaged/#engage
We update and publish a version of this “how to help” article after each disaster anywhere in the world.
ecoXplorer Evelyn Kanter is a journalist with 20+ years of experience as a newspaper and magazine writer, radio & TV news producer & reporter, and author of guidebooks and smartphone apps – all focusing on travel, automotive, the environment and your rights as a consumer.
ecoXplorer Evelyn Kanter currently serves as President of the International Motor Press Assn. (IMPA), a former Board Member of the Society of American Travel Writers (SATW) and a current member of the North American Travel Journalists Assn. (NATJA).
Contact me at evelyn@ecoxplorer.com.
Copyright (C) Evelyn Kanter






[…] Here’s where you can donate to top-rated charities providing emergency assistance to victims of Hurricane Milton and Hurricane Hele… […]